
研究团队:贵州大学喀斯特岩土力学团队
作者信息:兰旭东1,陈世万1,2,祝雨杭1、郑克勋3、吴如芸1、王璟1
1 贵州大学资源与环境工程学院,喀斯特地质资源与环境教育部重点实验室
2 中国科学院岩土力学研究所岩土力学与工程国家重点实验室
摘要:本研究采用低场核磁共振(NMR)测试装置,对两种典型岩石——低渗透性花岗岩与高渗透性砂岩的水迁移过程进行了在线监测。通过总体T2、分层T2及MRI成像等多种NMR实时测量技术,系统表征了围压与水压作用下的水迁移特征。研究发现:在渗流过程中,花岗岩与砂岩呈现出不同的迁移模式与机制。对于高渗压下的低渗透性北山花岗岩,水迁移过程持续时间较长,测得的T2值、分层T2及NMR成像显示水体先被花岗岩逐渐吸积,继而填充孔隙/微裂隙;而高渗透性砂岩即使在低渗压条件下,水体能快速通过试样。实时T2与NMR成像结果表明,砂岩水迁移过程呈现先被高压挤入大孔隙,再逐步渗入小孔隙的特征。花岗岩中水迁移主要受细长微裂隙主导的毛细力控制,而大孔隙砂岩则由渗流压力驱动。该研究为典型岩石水迁移过程提供了可视化证据,为岩石渗流理论的深入发展提供了支撑。
许多岩石具有低渗透性,这使得它们在工程应用中得到广泛应用,例如用于建造各类地下储气库和储油库等设施。岩石的低渗透特性使其成为高放废物(HLW)地质处置库的围岩,作为天然屏障阻碍放射性核素的迁移。然而,放射性核素可能以溶质形式随地下水迁移。因此,研究岩石中的水迁移过程对HLW地质处置库具有重要意义。
核磁共振(NMR)技术因其能够无损、实时地获取岩石内部结构和流体分布信息,逐渐成为岩土工程领域的重要工具。本研究旨在利用NMR技术监测花岗岩、砂岩的T2弛豫时间、分层T2分布及核磁共振成像,以评估不同岩石在渗流条件下的流体迁移特性。
制备了同等规格的25mm×80mm的花岗岩与砂岩圆柱样,将花岗岩和砂岩样品放入干燥炉中,在105℃下干燥72小时,以确保所测试样达到相对干燥的状态。

图1 花岗岩与砂岩试样
将岩石样品放置在围压为10.0 MPa的岩芯夹持器中,花岗岩入口水压为7MPa,砂岩入口水压为0.1MPa。在渗流过程中,测量了样品的整体T2,沿渗流方向不同位置的分层T2,并进行了核磁共振成像测量(核磁设备来源:苏州纽迈分析仪器股份有限公司)。
如图2所示,SE-SPI核磁共振序列可用于测量样品上指定位置的T2分布,这反映了指定位置的水迁移情况,从而提供了对目标地下位置水迁移特征的关键信息。

图2 渗流过程核磁共振测量图
(1)花岗岩整体T2谱变化图
图3展示了花岗岩在渗透365h后的T2谱分布特征。根据对应三个峰的T2值,花岗岩的孔隙被划分为微孔(0.01–10毫秒)、介孔(10–100毫秒)和大孔(100–10,000毫秒)。


图3 饱水花岗岩样品T2谱
图4显示了不同渗水时间后花岗岩的T2谱分布特征。在渗透开始之前,横向弛豫时间(T2)值的特征是振幅小、信号强度低,这种现象的发生是因为,尽管样品在105℃下干燥了三天,有效地去除了自由水和毛细水,但仍然保留了一些无法去除的结合水。在入口压力下渗水6.5小时后,水开始扩散到岩石内部,导致T2值增加,信号强度增强。这表明岩石孔隙中水的大小增加了,与中孔的测量相对应。对于渗水26.5至73小时后测量的T2谱,与小孔对应的T2信号保持稳定,而与中孔范围对应的信号强度增加,在大孔范围内出现T2峰值,表明水已进入大孔。


图4 花岗岩T2谱在不同时间的分布特征
对于较长渗流时间(173.5-365小时)的T2谱,大孔范围内的T2信号继续增强,表明在压力下,更多的水逐渐填充花岗岩样品内的大孔。经过365小时的渗流测试,在出口端观察到流动,表明样品已接近饱和。
(2)花岗岩分层T2谱变化图
如图5所示,在渗水过程中测量了距离入口端不同距离处的T2。在实验的早期阶段(图5a),样品内所有位置的T2信号都很弱,表明样品中几乎不存在水。在6.5小时的渗流后(图5b),水开始流入样品内部,样品内的所有位置都出现了T2信号。然而,T2值仍然很低,表明水已经进入样品的所有位置,但水量很小(位于微孔或大孔表面)。在样品的入口端观察到较大的T2值,表明水占据了入口大孔中的空间。在119小时的渗流后(图5c),在样品中20mm至30mm之间的位置测量到较大的T2值,表明随着渗流过程的继续,水沿着流动路径逐渐占据了大孔隙。在许多位置,对应于较小T2值的振幅减小,而对应于较大T2值的幅值增大,表明先前未填充的大孔(较小T2值)正在逐渐填充(较大T2值)。图5d显示了365小时渗流后的分层T2。很明显,花岗岩样品各层的T2分布非常相似,具有典型的双峰特征和几乎相同的峰值。这表明花岗岩样品内的渗流已经稳定,可以认为花岗岩样品此时处于饱和状态。

图5 不同时间花岗岩的分层T2谱
(3)砂岩整体T2谱变化图
图6显示了砂岩渗透过程中的T2分布。在渗透的早期阶段,在与大孔对应的范围内出现了明显的信号,而在与中孔对应的区域内信号幅度较小,在微孔范围内没有检测到信号。这表明砂岩具有高孔隙度和大孔隙,允许水在砂岩样品内快速迁移。在0.5小时的渗透后,T2振幅增大,特别是在与微孔对应的范围内,从无信号状态转变为大量信号(在0.5小时内)。还可以观察到,T2的范围显著增加,表明水填充大孔后,逐渐迁移到中孔和微孔中。渗透1小时和1.5小时后,对应微孔范围的信号幅度持续增加,对应中孔范围的信号也增加,表明更多的水进入微孔。渗透2小时后,T2谱呈现出典型的双峰结构,表明砂岩样品内的渗透过程稳定,样品处于饱和状态,T2谱主要分布在微孔和大孔对应的范围内。


图6 不同时间砂岩T2谱分布特征
(4)MRI图像
图7显示了花岗岩和砂岩在水渗透过程中的MRI图像。花岗岩和砂岩在入渗过程中水的迁移特征存在显著差异。图7(a)显示了花岗岩样品在水渗透过程中的MRI图像。在渗透的早期阶段,水集中在样品的左端,水出现在样品的中间。随着渗透过程的进行,水沿着样品的整个长度逐渐出现(59小时后),而水带相对较窄。经过276小时的渗透,水带逐渐变宽。当水从样品中渗出时(365小时),在样品的右端观察到水浓度。总体而言,在渗透试验的早期阶段,沿样品的整个长度检测到水,随着渗透的进行,样品中不同位置的水带逐渐变宽。
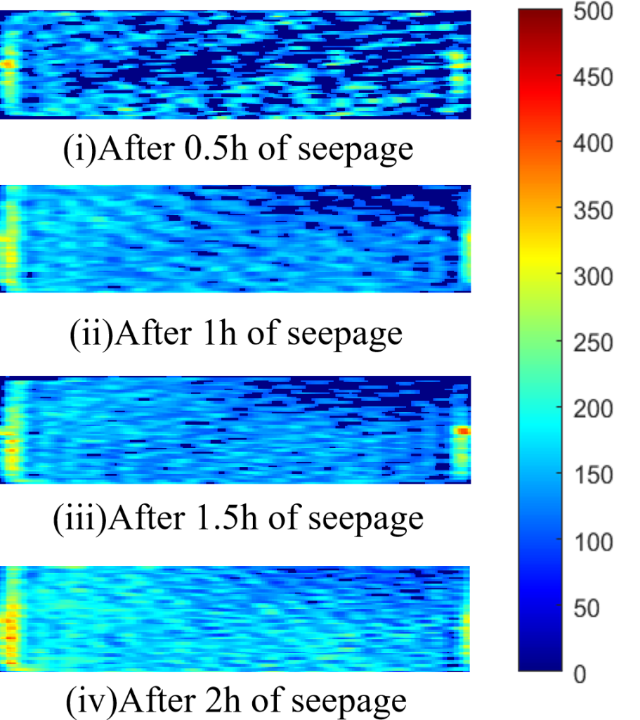
图7(b)显示了砂岩样品在水渗透过程中的MRI图像。与渗透过程中花岗岩中的水分分布演变相比,在试验的早期阶段(0.5小时),水沿着样品的整个长度分布(此时,水已经迁移到样品的右端),水带相对较宽。渗透1.5小时和2小时后,更多区域出现水带。渗透2小时后,水在整个样品中分布更均匀。总体而言,砂岩中的渗透过程以快速的水迁移为特征,在大孔隙被水填充后,水逐渐迁移到较小的孔隙中。


图7 渗流过程中两种岩石的MRI图像
将0.01-10ms设置为微孔,10-100ms设置为中孔,100-10000ms设置为大孔。通过SIRT算法获得每个T2值对应的振幅(a.u.),并将T2对应的振幅累积在不同的窗口中,以获得微孔、中孔和大孔的T2面积。累积0小时、6.5小时、119小时和365小时每层的T2谱,如图8所示的直方图。





图8 不同时间花岗岩各层T2分布
从图8(b)和图5(b)可以看出,在渗流早期(6.5小时),短T2在大多数高度占主导地位,约占总信号量的84.51%,振幅约为14.6。然而,在30mm和70mm的信号量中基本上没有段T2信号,局部区域只出现中T2和长T2的峰值。40mm处的中T2振幅迅速增加到12.34,而长T2信号保持在低水平。这表明,在早期阶段,水只流过局部微孔或裂缝,整体样品异质性极高—大多数区域以致密结构(短T2)为主,只有少数区域显示了流体渗透产生的中孔和大孔T2信号。在中期演化阶段(119小时),图8(c)和图5(c)显示,中T2和长T2分布范围显著扩大,这两个分量的明显信号峰出现在多个长度上。虽然短T2比例降至75.27%,但10mm和40mm处的信号值分别高达51.31和47.47,而中T2信号迅速增加,达到总信号量的24.6%,表明水分入渗范围扩大,孔隙网络连通性发展。但不同地区之间的差异仍然很大。在渗流后期(365小时),图8(d)和图5(d)显示,长T2在每层上都表现出明显的信号,不同T2层之间的分布更加均匀,信号幅度约为3,整体信号比例增加到8.78%。短T2的比例保持相对稳定,但中T2信号分布仅为4.97%。此时,T2的每一层都呈现出典型的双峰结构,表明水在岩石中形成了更多相连的流动路径,孔隙和流体分布的不均匀性显著降低,趋于均匀。MRI图像(图7(a))从另一个角度证实了初始异质性和最终均匀化的过程:在6.5小时的早期阶段,MRI图像显示稀疏和散射的信号,与分层T2谱中的局部中长T2一致,表明水分分布极不均匀。在365小时的最后阶段,MRI图像显示了广泛而连续的信号,对应于分层T2谱所有高度层中长T2的均匀分布,表明在长期渗流后,岩石内的流体和孔隙分布趋于更加均匀。
图9显示了花岗岩和砂岩中不同渗流阶段的实测水体尺寸分布。在图9(a)中,在水分入渗过程的初始阶段,花岗岩中对应微孔信号的面积占87.6%,而对应中孔信号的面积达到12.4%,没有对应大孔的信号。在6小时和74小时的渗流后,与微孔和中孔对应的信号显著增强,尽管没有观察到与大孔区域对应的信号。然而,根据图7(a)中59小时花岗岩的MRI图像,很明显,在早期渗漏后,水已经遍布花岗岩的整个长度。由于花岗岩中矿物颗粒之间(或晶体内)的细长裂缝占主导地位,水被吸附在这些裂缝的壁上。薄水膜是在毛细管力作用下形成的,水被吸收到岩石样品中。经过365小时的渗水后,花岗岩样品中测量到更多与大孔隙相对应的T2信号。与图7(a)中365小时花岗岩的MRI图像相比,其显示了更宽更强的水带,表明附着水的细长裂缝逐渐被填充,导致测量的水体尺寸增大的现象。



图9 入渗过程中水量分布的演变
在图9(b)中,砂岩在渗流试验的初始阶段(0h),与大孔区域对应的信号值约占总试验信号的89.8%,而与中孔区域相对应的信号值仅占10.2%,微孔没有检测到信号。经过0.5小时的渗流后,与中孔和微孔区域相对应的信号开始增加。经过1至1.5小时的渗流后,与微孔区域相对应的信号也显示出增加。结合图7(b)中的MRI图像,可以观察到,在渗流的早期阶段,水迅速渗透到砂岩的大部分大孔隙中。在随后的渗流过程中,整个区域逐渐被完全填满。分析表明,砂岩中含有许多大体积孔隙。在渗流的影响下,水在渗透压力下迅速填充大孔隙。一旦大孔被填满,水就会在渗透压力下被压入中孔和微孔。
综上所述,由于花岗岩和砂岩在孔径和形态上的差异,这些材料的渗流过程表现出显著的差异。对于主要由细长裂缝组成的花岗岩,裂缝通道的小直径导致通道壁在压力下产生显著的摩擦。这种摩擦减少了水压在驱动水分迁移中的作用,渗流过程由样品内裂缝的毛细管力控制。相比之下,砂岩具有更高的孔隙度和更大的孔径,在水压的驱动下,水可以快速迁移并填充大孔隙。随着压力的继续作用,水克服了小孔中较大的粘性阻力,并逐渐填充它们。因此,砂岩的渗流过程主要受水压控制。
通过计算可以得出,花岗岩在7 MPa渗透压力和10 MPa围压下的渗透率为8.488×10-19m2,而砂岩在0.1 MPa渗透压力和约10 MPa围压力下的渗透率约为1.579×10-12 m2。计算表明,虽然花岗岩的渗透压力远高于砂岩,但渗透时间极长,渗透率很低,而砂岩在0.1 MPa以下的短时间内完成渗透,表现出很高的渗透率。
对于T2谱,花岗岩的短T2响应滞后数十小时,即使在长时间渗流后,该区域仍表现出明显的波动。这表明,水进入花岗岩微孔是一个缓慢的过程,受到低渗透性和微小孔隙的限制。其低孔隙度和低渗透率特征意味着外部压力难以产生有效流动,水进入微孔是一个随时间变化的渐进过程,与毛细吸力一致。相比之下,砂岩在0.5-1.5小时内迅速达到峰值,表明水迅速进入微孔区域。这是因为砂岩具有较高的整体渗透率,允许水在压力下快速填充,压力梯度有效地驱动了流动。观察最小T2值(最强结合水)表明,花岗岩的最小T2随时间从0.49ms缓慢降低到0.28ms,这与毛细吸力逐渐润湿小孔的过程一致。在砂岩中,0.5小时内出现0.049ms的极小T2,1小时和1.5小时的T2值甚至更低,表明水由于压力驱动的快速渗流而迅速进入超微孔或粘土表面。随后,最小T2上升到0.37ms,可能是因为此时砂岩几乎饱和,砂岩内的部分水重新分布。
为了验证这两种岩石渗流模式的差异,引入了Lucas-Washburn理论。20世纪初,Lucas(1918)和Washburn(1921)分析了单毛细管和多孔介质中水自吸收的动力学因素,建立了润湿液体的Lucas-Waskburn(LW)模型,具体表达式为:

h为吸收液的高度(m),γ为液体的表面张力(N/m),R为毛细管的半径(m)、θ为接触角(°),η为液体的粘度(Pa·s),t为渗透时间(s)。
根据LW,我们得到花岗岩的有效半径为0.2nm。然而,当比较(Chen,2018)使用压汞法获得的花岗岩的实际孔径时,我们发现压汞法得到的北山花岗岩的最小孔径为40nm。计算得到的有效孔隙半径远小于压汞法测得的孔隙半径,这也证实了花岗岩的渗透特性。
从公式可以看出,毛细管吸收长度h与时间t的关系为0.5的幂,即lgh≈lgt。假设吸收的水体积V(t)
h(t)·A(其中V(t)是实际吸收的液体体积,A是平均渗流截面积),这相当于说,只要该过程是“毛细作用主导的”,对数图上的V-t曲线的斜率约为0.5。将T2面积A(t)视为等同于V(t)的基本原理如下:由于研究数据都是“0.01-10 ms”范围内的T2信号,基本上对应于微孔/毛细管水,一旦水进入这些孔,T2面积与“润湿微孔的体积”成正比。因此,可以使用A(t)代替V(t)进行缩放分析,斜率不变。对于花岗岩和砂岩,我们使用T2数据点进行了logA(t)-logt拟合。
使用普通最小二乘法(OLS)拟合直线lgA(t)=n·lgt+b,斜率n表示对数斜率,对应于时间指数。花岗岩的拟合曲线表达式为lgA(t)=0.1425·lgt+2.3217,R²=0.8567,而砂岩的拟合曲线表达lgA(t)=0.9051·lgt+0.0232,R²=0.9929,两种岩石的对数拟合曲线如图10所示。拟合曲线表达式表明,花岗岩的坡度在0.5以下。根据Lucas-Washburn方程,表明水进入花岗岩微孔的速率仍低于纯毛细管力控制的理想状态。这间接表明花岗岩的流动受到限制,并强烈表明渗流过程受到比经典毛细管模型更复杂的物理机制的严重阻碍。所有迹象均表明花岗岩的渗流模式为强非达西流。各种迹象表明花岗岩的渗流模式向强非达西渗流方向发展,这是毛细力在微观尺度上的复杂表现,导致了微观层面的非达西渗流特征。相比之下,从砂岩数据中获得的斜率约为1,明显偏离了毛细管关系,接近线性t关系(达西稳定渗流)。这表明,外部施加的0.1 MPa的压力梯度直接将水驱入微孔,并且该过程由“压力驱动的渗透”而不是毛细管吸收控制。


图10 两种岩石的对数拟合曲线
根据花岗岩和砂岩在渗流过程中的T2、分层T2和MRI图像的联合分析,可以总结出具有不同孔隙断裂结构的岩石中两种不同的水迁移模式,如图11所示。图11(a)显示了花岗岩渗流试验期间的水迁移示意图。由于花岗岩中细长的微裂缝是主要的孔隙空间,毛细力导致水分子在渗水试验的早期沿着裂缝表面迁移,而没有完全占据裂缝。这反映在渗流测试中,在渗透测试中,沿着样品的整个长度检测到水分子信号,但水量很小(T2值小,MRI带窄)。随着渗流试验的进行,水在液压的驱动下从注入端到出口端逐渐充满孔隙(T2值增加,MRI带变宽)。图11(b)显示了砂岩渗流试验期间水迁移过程的示意图。与花岗岩相比,由于砂岩的孔径较大、孔隙度较高、连通性良好,在渗透试验的早期,水会迅速填充砂岩中的大孔隙(表现为出现较大的T2值信号)。随后,水在液压的驱动下迁移到较小的孔隙中(出现较小的T2值信号)。

(a)花岗岩

(b)砂岩
图11 不同孔隙结构岩石中水分入渗过程示意图
花岗岩中的水分渗流迁移决定了渗流过程中微孔信号先增加后大孔信号增加的结果(如图4所示)。流体体积与表面积之比相同的非饱和大孔和饱和微孔都表现出相同的短弛豫时间,如图12所示,在水完全充满整个孔隙空间之前,它最初表现为来自小孔的信号。随着水量的增加,相应的T2值也会增加,导致测量结果显示小孔信号先增加,大孔信号再增加。

图12 非饱和和饱和多孔介质中T2分布的比较
总体而言,由于花岗岩中细长的微断裂结构,毛细管力在将水吸附到断裂壁上方面起着重要作用,而水压的影响则被延迟。因此,在分析花岗岩中的长期水运动时,必须强调毛细管力。在它的控制下,水在岩石中的迁移速度可能比传统渗流理论预测的要快。相比之下,对于孔隙度高、孔径大、连通性好的砂岩,水在水压作用下首先填充大孔隙,然后在水压作用下水逐渐进入小孔隙,水压主导了运移过程。
利用低场核磁共振(NMR)测试装置对两种典型的低渗透(花岗岩)和高渗透(砂岩)岩石中的水迁移过程进行了实时监测。许多实时核磁共振测量技术,包括整体T2,分层T2,并进行MRI成像,以表征围压和水压下的水迁移过程。实验揭示了一些有趣的结果。
(1)对于7 MPa的高渗透压力下的低渗透北山花岗岩,水在80 mm长的样品上的迁移过程持续了365小时。随着渗水过程的进行,花岗岩中的整体T2呈现出测量水体尺寸缓慢增加的趋势。使用分层T2和NMR成像结果可以清楚地表征水的迁移,这表明水逐渐被吸入花岗岩,然后逐渐被填充到孔隙/微裂缝中。
(2)对于高渗透性的砂岩,即使在0.1 MPa的低渗透压力下,水也能快速通过样品。实时整体T2和NMR成像结果均表明,水首先被压入大孔隙,然后随着渗水过程逐渐迁移到小孔隙中。
(3)低渗透花岗岩的渗流过程和水迁移机制与高渗透砂岩有很大不同。低渗透花岗岩中的渗流过程以细长的微小裂缝为主,水的运移过程受毛细管力控制。相比之下,高渗透砂岩的渗流过程以大孔隙为主,水的运移是由渗透压力驱动的,而毛细管力的影响相对较小。
(4)对于一直用作高放废物地质处置库主岩的低渗透花岗岩,在评估长期紧密性和水迁移过程时,关键是要关注主导系统的毛细管力。在毛细管力的影响下,水在岩体内的迁移速度比传统渗流理论计算的要快。值得对这一主题进行进一步研究,为高放废物处置的长期安全评估提供更详细的科学支持。

中尺寸核磁共振成像分析仪
参考文献:
[1] Lan X, Chen S, Zhu Y, et al. Online Measurement of Water Transportation in Typical Rock Based on Low-Field Nuclear Magnetic Resonance Monitoring[J]. Rock Mechanics and Rock Engineering,2026,(prepublish):1-18.DOI:10.1007/S00603-025-05248-3.
电话:400-060-3233
售后:400-060-3233
返回顶部